family CERAMBYCIDAE Latreille, 1802
subfamily CERAMBYCINAE Latreille, 1802
tribe Clytini Mulsant, 1839
genus Chlorophorus Chevrolat, 1863
Chlorophorus figuratus (Scopoli, 1763)
subgenus Humeromaculatus Özdikmen, 2011

Velikost 6-13 mm.
Bionomie. Listnaté lesy spíše nižších poloh. Vývoj larev v odumřelém dřevě listnatých dřevin, ve větvích nebo slabších kmíncích i v odumřelém dřevě živých stromů na místech po odřené kůře a pahýlech po ulomených větvích. Ve stejném dřevě se může vyvíjet i více generací najednou. Vývoj larev dvouletý. Dle Demelta (1966) se ve dřevě o slabém průměru 2 - 4 cm larvy kuklí ve dřeni. - Imaga se vyskytují v VI. - VII., maximum VI. Za slunečných dnů na různých květech, např. Crataegus, Apiaceae.
Živné rostliny - Quercus; Vitis vinifera (*Šiška); Populus (*Kubáň); Robinia, Fagus (Teppner, 1961); dále se uvádí Ulmus, Castanea, Betula, Populus, Salix.
Variabilita. Šedé nebo šedožluté pásky na krovkách bývají přerušovány.
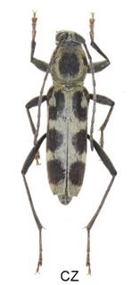
Chlorophorus herbstii (Brahm, 1790)
subgenus Immaculatus Özdikmen, 2011







Velikost 8-15 mm.
Bionomie. Smíšené listnaté lesy nižších a středních poloh, lipová stromořadí, parky. Vývoj larev pod kůrou a ve dřevě oslabených, nebo čerstvě odumřelých větví a kmenů o různém průměru (5-35 cm). Larvy vyžírají nepravidelné chodbičky, které často střídavě jdou do dřeva a vystupují pod kůru. Před zakuklením si larva vyhlodá výletový otvor, který bývá uzavřen slabou vrstvičkou neprokousaného dřeva, nebo je ucpaný drtinami, někdy je otevřený až pod kůru. Imaga se často kuklí blízko povrchu dřeva. Zimuje jako larva. Vývoj larev dvouletý. - Imaga se vyskytují v VI.-VII. převážně na dříví, méně často na květech, zejména Aruncus.
Živné rostliny - Nejčastěji Tilia, méně často Carpinus; Corylus; Quercus. Uvádí se též Ulmus.
Variabilita. Skvrny na ramenou často varírují. Velmi vzácně je šedé chloupkování imag.
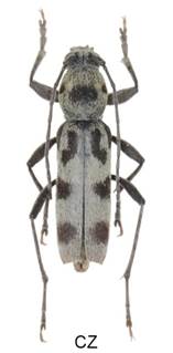
Chlorophorus varius (O. F. Müller, 1766)
subgenus Immaculatus Özdikmen, 2011
Chlorophorus varius varius (O. F. Müller, 1766)


Chlorophorus varius damascenus (Chevrolat, 1854)

Velikost 8-15 mm.
Bionomie. Okraje smíšených listnatých porostů, lesostepi, staré zahrady, ladem ležící půdy. Vývoj v odumřelém dřevě listnatých dřevin o různých průměrech od několika cm po více dm. Při neodkorněném dřevě žije larva ze začátku pod kůrou, při odzrněném vstupuje přímo do dřeva. Často se ve stejném dřevě vyvíjí řada generací za sebou, až je dřevo zcela rozežrané. Přezimuje jako larva. Dle Demelta (1966) 2-3 letý vývoj, což odpovídá i mým poznatkům. - Imaga se vyskytují od VI. do VIII., (IX. Gajdoš, Krumpál, 1982), maximum VII. až poč. VIII. na různých květech, zejména Apiaceae, Rubus, Achilea atd.
Živné rostliny - Juglans a Salix; Robinia; Populus tremula, dále se udává Acer, Alnus, Castanea, Fraxinus, Morus, Crataegus, Prunus, Spartium, Ulmus, Vitis.
Variabilita. Žlutá nebo černá kresba na krovkách se může rozšiřovat. Chloupkování krovek často bývá šedobílé.
Chlorophorus glabromaculatus (Goeze, 1777)
subgenus Immaculatus Özdikmen, 2011


Velikost 8-15 mm.
Bionomie. Podle Samy (2002) se v Německu a Švýcarsku vyskytuje Chlorophorus glabromaculatus (Goeze, 1777), pod jehož jménem tyto údaje uvádím (nikoliv Chlorophorus glaucus (Fabricius, 1781)). Polyfágní druh, bývají uváděny dřeviny jako Quercus, Fagus, Ulmus, Prunus a další. Imaga na dříví nebo na květech VII-VIII.
Variabilita. Černé skvrny bývají různých velikostí, nebo chybí.
Chlorophorus glaucus (Fabricius, 1781)
subgenus Immaculatus Özdikmen, 2011

Chlorophorus hungaricus Seidlitz, 1891
subgenus Crassofasciatus Özdikmen, 2011





Velikost 6-12 mm.
Bionomie. Neobhospodařované plochy, lesostepi, teplá sušší místa spíše stepního charakteru. Je dalším druhem našich Clytinů, který se nevyvíjí v nadzemních částech dřevin. Uvádí se dvouletý vývoj. - Imaga VI. - VIII. maximum výskytu je v druhé polovině VI. Za slunného počasí na Dorycnium (taktéž na Balkáně), na jiných květech jsem ho dosud nenašel.
Živné rostliny - Dorycnium.
Variabilita. Někdy bývá část černé plochy krovek jemně žlute tomentovaná.
Chlorophorus aegyptiacus (Fabricius, 1775)
subgenus Crassofasciatus Özdikmen, 2011

Velikost 6-10 mm.
Bionomie. Převážně teplé oblasti, zejména kolem Středozemního moře. Vývoj larev v Ononyx natrix a Dorycnium hirsutum. Imaga živných rostlinách a na různých květech, okoličnatých (Apiaceae) aj. VI-VII.
Chlorophorus trifasciatus (Fabricius, 1781)
subgenus Crassofasciatus Özdikmen, 2011

Chlorophorus ruficornis (Olivier, 1790)
subgenus Crassofasciatus Özdikmen, 2011

Chlorophorus sartor (O. F. Müller, 1766)
subgenus Perderomaculatus Özdikmenm, 2011

Velikost 5-10 mm.
Bionomie. Okraje listnatých lesů, lesostepi, staré zahrady, ladem ležící půdy. O bionomii je velmi málo známo. Několik imag jsem vychoval z časově různě odumřelých větví a nemohu proto blíže popsat kvalitu napadeného dřeva. V literatuře se obecně udává vývoj v odumřelém dřevě. - Imaga se u nás vyskytují od VI. do VIII., maximum VII. (výjimečně konec V., nebo IX. (Gajdoš & Krumpál, 1982). Za slunečného počasí se vyskytují na různých květech, především Apiaceae a Asteraceae.
Živné rostliny - Quercus; Ulmus, Crataegus a Paliurus.
Variabilita. Šedé pásky na krovkách jsou často přerušované.
Chlorophorus gratiosus gratiosus Marseul, 1868
subgenus Perderomaculatus Özdikmenm, 2011

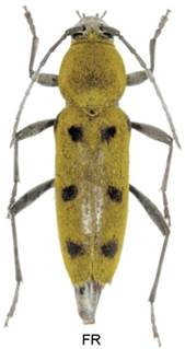
Chlorophorus glaucus Fabricius, 1781 TUN Quercus suber L.

Chlorophorus herbstii Brahm, 1790 CZ Tilia
